350 000 €6 100 m²

Ilvesmäentie 58, Martinkylä, Sipoo10h + kk

Myyntihinta
350 000 €
Pinta-ala
6 100 m²
Huoneita
10
Kerros
1 / 1
Rakennusvuosi
1997
Toimitilan tyyppi
Varastotila
Kaupunginosa
Martinkylä
Kaupunki
Sipoo

Myydään varasto, toimitilaa ja toimisto

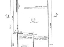
Nyt myynnissä käytännöllinen 6100 m2 tontti, jolla sijaitsee 32 m2 ja kaksi hallia (valmistuneet 1995 ja 1997), joiden kerrosalat ovat 205 m2 (+ kellari 100 m2) ja 204 m2. Osa tiloista on lämmitettäviä.

Tontilla on hyvät ulkovarastointitilat, joten toimitila soveltuu moneen käyttöön.

Kiinteistölle on haettu rakennuslupaa tilojen muutoksille, joiden kustannukset ovat 20 000 euroa. Sisältää paloturvallisuuden parannuksia ja tilojen käyttötarkoitusten muuttamista alkuperäisistä 1995 ja 1997 merkityistä varastointi käyttöön.

Tilat vapautuvat sopimuksen mukaan.

Tämä kiinteistö on myös vuokrattavana: https://toimitilat.oikotie.fi/vuokrattavat-toimitilat/sipoo/22801430

Perustiedot

Sijainti
Ilvesmäentie 58, 04240 Sipoo
Kaupunginosa
Martinkylä
Kohdenumero
23662116
Kerros
1 / 1
Toimitilan tyyppi
Varastotila
Tilan pinta-ala
6 100 m²
Kokonaispinta-ala
6 100 m²
Pinta-alojen lisätiedot
Tontti 6100 m2
Toimisto 32 m2
Halli 1 205 m2
Halli 2 204 m2
Huoneiston kokoonpano
10h + kk
Huoneita
10
Kunto
Tyydyttävä
Vapautuu
Heti vapaa
Lisätietoa vapautumisesta
Sopimuksen mukaan
Keittiö
Keittokomero
Keittiön varusteet
Puutasot, Laminaattitasot, Jääkaappi, Liesi tai uuni erikseen
Kohde on
Kiinteistö

Hinta

Myyntihinta
350 000 €

Vastikkeet

Hoitovastike
/ kk
Pääomavastike
/ kk
Tontin vuokravastike
/ kk
Korjausvastike
/ kk

Muut maksut

Vesimaksu
21 € / kk
Sähkömaksu
Pääsulakkeet 63 A

Talon ja tontin tiedot

Rakennuksen tyyppi
Varastotila
Rakennusvuosi
1997
Kerroksia
1
Rakennusmateriaali
Puu
Kattomateriaali
Pelti
Kattotyyppi
Harjakatto
Ilmanvaihto
Painovoimainen
Rasitteet ja oikeudet
Tiemaksu 600 e /v riiippuen käytöstä (automäärä, massat)
Lämmitys
Sähkö
Lämmönjakelu
Sähköpatterilämmitys
Tontin vuokra
0