41,5 m²

Pihkapolku 1, Karhuvuori, Kotka

Pinta-ala
41,5 m²
Rakennusvuosi
1968
Toimitilan tyyppi
Toimistotila
Kaupunginosa
Karhuvuori
Kaupunki
Kotka

Toimisto Kotkan Karhuvuoressa

Pihkapolku 1 on asuinkiinteistö, jonka kivijalassa on vuokrattavia toimitiloja.

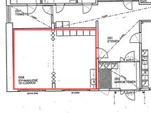
Vuokrattavana 1. kellarikerroksen ikkunallinen 41,5 m2 toimitila, joka soveltuu esimerkiksi pientoimistoksi tai liiketilaksi. Tilassa on oma pienkeittiö ja yhtiön yhteiskäytössä oleva wc löytyy käytävän toiselta puolelta. Kulku tilaan on yhteiseltä käytävältä, josta käynti myös muihin varasto/toimistotiloihin. Käytävälle on oma sisäänkäynti pihalta.

Perustiedot

Sijainti
Pihkapolku 1, 48350 Kotka
Kaupunginosa
Karhuvuori
Kohdenumero
23801002
Toimitilan tyyppi
Toimistotila
Tilan pinta-ala
41,5 m²

Hinta

Vuokra/kk

Talon ja tontin tiedot

Rakennuksen tyyppi
Toimistotila
Rakennusvuosi
1968
Liikehuoneistojen lukumäärä
3
Liikehuoneistojen pinta-ala
1 009 m²
Energialuokka
D2007
Lisätietoja lämmityksestä
Vesikeskuslämmitys
Lisätietoja talosta
Siirry talosivulle
Tontin omistus
Vuokralla