4 000 € / kk6 100 m²

Ilvesmäentie 58, Martinkylä, Sipoo10h + kk

Vuokra/kk
4 000 € / kk
Vapautuu
Heti vapaa
Pinta-ala
6 100 m²
Huoneita
10
Rakennusvuosi
1997
Toimitilan tyyppi
Varastotila
Kaupunginosa
Martinkylä
Kaupunki
Sipoo

Vuokrataan varasto, toimitilaa ja toimisto

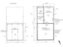
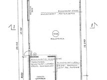
Tontti 6100 m2 jossa toimistorakennus 32 m2. halli 1 (valmistunut 1995) kerrosala 205 m2, jossa kellari 100 m2 ja halli 2 (valmistunut 1997) kerrosala 204 m2. Hyvät ulkovarastointi tilat. Tilat vapautuu sopimuksen mukaisesti. Vuokrataan kokonaan tai osittain hinta sisältää alv: 25,5%

Tämä kohde on myös myynnissä: https://toimitilat.oikotie.fi/myytavat-toimitilat/sipoo/23662116

Perustiedot

Sijainti
Ilvesmäentie 58, 04240 Sipoo
Kaupunginosa
Martinkylä
Kohdenumero
22801430
Kerroksien lukumäärä
1
Toimitilan tyyppi
Varastotila
Tilan pinta-ala
6 100 m²
Kokonaispinta-ala
6 100 m²
Pinta-alojen lisätiedot
Tontti 6100 m2
Toimisto 32 m2
Halli 1 205 m2
Halli 2 204 m2
Huoneiston kokoonpano
10h + kk
Huoneita
10
Kunto
Tyydyttävä
Vapautuu
Heti vapaa
Keittiö
Keittokomero
Keittiön varusteet
Puutasot, Jääkaappi, Laminaattitasot, Liesi tai uuni erikseen
Vuokrataan kalustettuna
Kyllä
Lisätietoa kalustuksesta
Toimisto kalusteita. Kahvitila kalusteita. Varasto hyllyjä runsaasti
Vuokralaistyyppi
Päävuokralainen
Muut ehdot
Kaikki ehdot kirjataan vuokrasopimukseen.

Hinta

Vuokra/kk
4 000 € / kk
Vakuus
4 000 €
Lisätietoa vakuudesta
Vakuus maksetaan vuokranantajan tilille vuokrasopimuksen allekirjoituksen yhteydessä.
Vuokrankorotusperusteet
Vuokra tarkistetaan vuosittain korotus enintään 2%.
Vuokra-aika
Toistaiseksi voimassa oleva. Ensimmäinen irtisanomisajan ajankohta 6 kuukauden kuluttua

Muut maksut

Vesimaksun lisätiedot
Vesimaksu on naapurin liittymän kautta ( sovittava naapurin kanssa ). Myös oma kaivo ( ei ole tutkittu käykö juoma vedeksi ).
Sähkömaksu
Vuokralainen tekee sähkösopimuksen
Muut kustannukset
Tiemaksu sovittava tiehoitokunnan kanssa. Maksu perustunut käytettyjen ajoneuvojen mukaan.

Talon ja tontin tiedot

Rakennuksen tyyppi
Varastotila
Rakennusvuosi
1997
Kerroksia
1
Lisätietoja lämmityksestä
Ei kiinteää lämmitystä
Tontin omistus
Oma